Company Logo
Get New Listings Emailed Daily! SIGN UP LOGIN
Farmers Helping Farmers

Tbd Reams Road , Gentry, AR 72734

$200,000
  • Tbd Reams Road , Gentry, AR 72734 Main Photo

7 Total Photos [Click to View All]

New to the Market Active
LOT SIZE 2.250 acres MLS#1342951
STATUSActive PROPERTY TYPELand - Residential SUBDIVISIONna SCHOOLGentry

Property Description

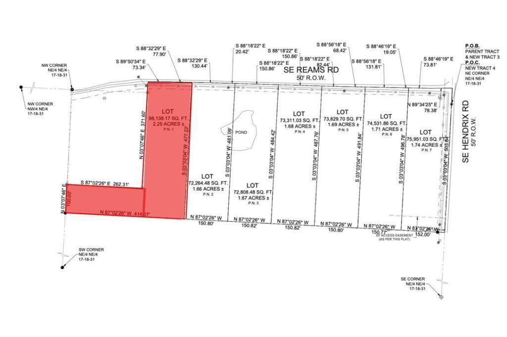
Just 2 miles from XNA Airport, this 2.25-acre parcel sits at the southwest corner of Hendrix and Reams Road in Gentry, offering paved road frontage. Please note: a lot split is currently in progress on the larger 12.4-acre tract, which is also available to purchase as a whole. This listing is specifically for the L-shaped lot as identified in the attached survey and shown in the listing photos. The land is cleared and gently rolling, with electric, gas, and public water at the street ? and the property has already perked for septic. Whether you're building your dream home or an investment property, this is a turnkey-ready lot in one of NW Arkansas's fastest-growing corridors. Refer to survey for exact boundaries.

Tbd Reams Road | MLS# 1342951

This land located at Tbd Reams Road , Gentry, AR 72734 is currently listed for sale with an asking price of $200,000. The property has approximately 2.25 Acres. Tbd Reams Road is located within the Gentry school district. Search Gentry real estate on www.twinoaksrealtyinc.com today.

Property Features

Property Type: Land - Residential
Lot Size: 2.25 Acres
Taxes: $616

Feature Descriptions

Days on Site: 1
Fencimg: Wire
Lot: Cleared, Not In Subdivision, Other, Rolling Slope, See Remarks, Pond on Lot, Stream/Creek
Parcel#: 18-08458-000
Sewer: Septic Needed
Topography: Cleared, Rolling
Utilities: Natural Gas Available, Electricity Available
Water: Not Connected (nearby), Public
Water Features: Pond

Local Schools

School District: Gentry

Listed By / Shown By

Listed By

Agency Name: Limbird Real Estate Group
Agency Phone: 855-755-7653

Shown By

Agency Title: Twin Oaks Realty, Inc.
Agency Phone: (479) 824-4434

IDX logo

Estimate Your Payment

Estimated Payment

$ 554.78 per month $445.11 Principal & Interest $51.33 Property Tax $58.33 Homeowner's Insurance

Change Payment Information

%
years/fixed
yearly
yearly (est.)
(Payments are an estimate and may vary by lender)

Login to My Homefinder

Pixel