Company Logo
Get New Listings Emailed Daily! SIGN UP LOGIN
Farmers Helping Farmers
Refine Search

S 168th West Avenue, Kellyville, OK 74039

$89,500
  • S 168th West Avenue, Kellyville, OK 74039 Main Photo

2 Total Photos [Click to View All]

Pending
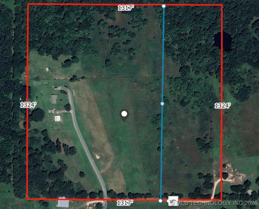
LOT SIZE 10.000 acres MLS#2602931
STATUSPending PROPERTY TYPELand - Residential SUBDIVISIONCreek Co Unplatted SCHOOLKellyville - Sch Dist

Property Description

10 ACRES MOSTLY PASTURE. SELLER WILL FURNISH ROAD EASEMENT. BUYER WILL BE RESPONSIBLE FOR LAYING WATER LINE & BUILDING FENCE BETWEEN PROPERTIES. THERE IS A SHARED POND. IF YOU PUT IN THE ADDRESS OF THE HOUSE NEXT TO PROPERTY YOU WILL BE ABLE TO SEE LOCATION. 14720 S 168TH WEST AVE, KELLYVILLE.

S 168th West Avenue | MLS# 2602931

This land located at S 168th West Avenue, Kellyville, OK 74039 is currently listed for sale with an asking price of $89,500. The property has approximately 10.00 Acres. S 168th West Avenue is located within the Kellyville - Sch Dist school district. Search Kellyville real estate on www.twinoaksrealtyinc.com today.

Property Features

Property Type: Land - Residential
Lot Size: 10.00 Acres
Taxes: $0

Feature Descriptions

Days on Site: 38
Fencing: Barbed Wire, Cross Fenced, Decorative
HOA Y/N: No
Lot: Pond on Lot, Acreage
Sewer: Septic Tank
Water: Rural

Local Schools

School District: Kellyville - Sch Dist

Listed By / Shown By

Listed By

Agency Name: Coldwell Banker Select

Shown By

Agency Title: Twin Oaks Realty, Inc.
Agency Phone: (479) 824-4434

IDX logo

Estimate Your Payment

Estimated Payment

$ 225.29 per month $199.19 Principal & Interest $0.00 Property Tax (data not provided by mls) $26.10 Homeowner's Insurance

Change Payment Information

%
years/fixed
yearly
yearly (est.)
(Payments are an estimate and may vary by lender)

Login to My Homefinder

Pixel